Start
Aktuelles
Unser Dorf
Daten und Fakten
Amper Geschichte
Politik
Ortsvorsteher
Unsere Nachbarn
Ansprechpartner
Landkarten
Amper-Dorftrödel
Gesellschaft
Kindergarten
Hellweggrundschule
Ganztagsschule
Kirchengemeinde
Kirchengemeinde
Petri Pauli
Heilig Kreuz
Frauenhilfe
Landfrauen
Kunst
Kunst & Kultur
Rainer Claus
Fritz Risken
Cord Winter
Kulturpfad Ampen
Wie alles begann
1. Der Meilenstein
2. Behrens Mühle und der Frankweg
3. Das Kriegerdenkmal und der Ehrenfriedhof
4. Gerichtslinde und Handweiser
5. Amper Bruch
6. Kloster Paradiese
7. Der Auwald
8. Der Dorfteich
9. Der Herrenteich
10. Die "Galgenvögel"
11. Die Galgenstätte
12. Die Wegeschranke
13. Die Alte Amper Schule
Landschaft
Landschaft & Natur
Naturraum
Landschaftsbild
Dorfökologie
Gewässer
Galerie
Frühling in Ampen
Sommer in Ampen
Herbst in Ampen
Winter in Ampen
Dorfanger
Dorfanger
Jahres-Chroniken
Vereine
Anadopa
Schützenverein
BVB-Fanclub
Sport & Freizeit
Tennisverein
Terminübersicht
27 Mär 2026
19:00 Uhr
Italienischer Abend im Restaurant "Rosso Peperoncino".
Neuigkeiten
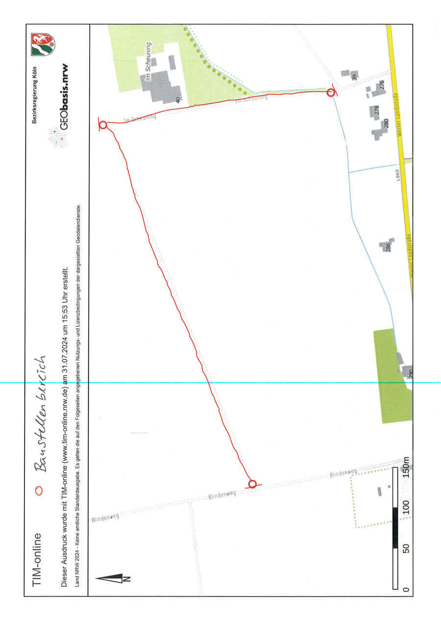
Werler Landstraße in Ampen gesperrt.
Stark Sauber Ampen
Aktion Stark Sauber Ampen
Tag des Daches
Volles Haus im Schützenhaus
Wetter in Ampen
Details
Veröffentlicht: 16. August 2024
Vollsperrung: Im Scheuning - Blindenweg
info@ampen.de
59494 Soest-Ampen, 1175 Jahre midden in der Welt
© 2024 Ampen.de